直击台风“小犬”穿过江门上川岛前后
27a47f793771422e97b953a234f54b9a_batchwm.jpg?x-oss-process=style/w640)
直击台风“小犬”穿过江门上川岛前后
27a47f793771422e97b953a234f54b9a_batchwm.jpg?x-oss-process=style/w640)
台风“小犬”风力减弱,多地通行恢复
11163f2465844ea69ec07c74a00d581b.jpg?pubTime=1696833555350?x-oss-process=style/w640)
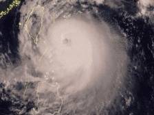
港珠澳大桥暂定10月9日12时30分恢复通行
11833abc6618415a92dd1e9937811c93.jpg?pubTime=1696818287971?x-oss-process=style/w640)
10月9日上午,台风“小犬”穿过江门台山上川岛
中山⇋香港,10月10日全线复航
d3e7e18a9f9b44d49d5a7a21f13ee9f5.jpg?pubTime=1696824180000?x-oss-process=style/w640)
琼州海峡客滚船取消停运!湛江海事部门提醒船舶关注天气变化
南都即时
防风应急响应升至Ⅲ级,阳江多地今日停课一天!
8529fa4ecd264d07aa999eaf808c900a.jpg?x-oss-process=style/w640)
温度记|珠海中小学上午继续停课!“小犬”或于今夜到明天登陆粤西琼东沿海
5eb1f0fc31d74b4ab0f839787aebfb29.jpeg?pubTime=1696810782225?x-oss-process=style/w640)
最新提醒!福田、罗湖等口岸正常开关,深圳湾口岸仍暂停服务
5ed0263f0b274992af798a89b50bf5c5.png?pubTime=1696810256636?x-oss-process=style/w640)
“小犬”逐渐远离,珠海台风预警信号已解除
8b95adc1674f415683f1b8c2c6cbe695.jpg?x-oss-process=style/w640)
10月9日江门全市停课
af4b23f20e6d4193b43e988719a19dd4.jpg?x-oss-process=style/w640)
受台风“小犬”影响,深圳湾口岸暂停通关服务
78c43cd1b0b54a2bae638f7d21b00e84.jpeg?pubTime=1696772202231?x-oss-process=style/w640)
@珠海师生家长:10月9日上午继续停课
128ede72e1bf4c65a97f4f54443bd498.jpg?pubTime=1696804200000?x-oss-process=style/w640)
交通运输部门调整运输方案,应对台风“小犬”影响
b092fc3b12cb4ddda27dfbd6ccff7de6.jpeg?pubTime=1696765869949?x-oss-process=style/w640)
琼州海峡客滚船因台风明日停运!湛江辖区18个水工项目停工
南都即时
广州已在“小犬”6-7级风圈内,今晚各区将转雨
408874d27e544503879ac6aa5995b403.png?x-oss-process=style/w640)
现场直击 | 台风“小犬”逼近,在建核电项目如何防范?
南方探针
824e1b0738b94be09b3b71796907d718.jpg?x-oss-process=style/w640)
快讯!受“小犬”影响,南中城际兴中站施工延期
t4_(346X0X346X0)6719dcdd2ce642b591f93a380b5ae578.jpg?x-oss-process=style/w640)
香港所有学校10月8日停课
dfe03d8121724a89a54b9e214348e07a.jpg?pubTime=1696754262734?x-oss-process=style/w640)
一线直击 | 台风“小犬”致惠州阵雨频繁,惠东县部分路段出现水浸
8183703020c647fb8b9726fce5bc33a3.jpg?x-oss-process=style/w640)
珠海中小学停课!台风“小犬”朝这里来了,粤港澳多地升级预警
edae78c53bfa47c6abe398504d1143cb.jpg?pubTime=1696750782218?x-oss-process=style/w640)
港珠澳大桥主桥因台风将临时封闭!桥梁航道实施水上交通管制
南都即时
香港时隔一月再发黑雨警告,台风“小犬”已致28人受伤
今日香港地
原创2437b6cd341144c8bc14af23327dd2f2.jpeg?x-oss-process=style/w640)
受台风“小犬”影响,港珠澳大桥主桥临时封闭
d1dbfffa6b2a487d8007b5d906fcb13c.jpg?x-oss-process=style/w640)
受台风“小犬”影响,港珠澳大桥穿梭巴士临时停运
93f9010dfe3749a3a52b538742a58d7d.jpg?x-oss-process=style/w640)
局部暴雨或大暴雨!“小犬”将给广西带来较强风雨
a8fad4937aff476ea8a73bb12c092416.jpg?pubTime=1696693448497?x-oss-process=style/w640)
台风“小犬”缓慢西移,省内多地降雨,惠东海滩海浪变大|南方+视频
4a0b3b7fa2544253a745831b4728d3dc.jpg?x-oss-process=style/w640)
受台风“小犬”影响,港珠澳大桥桥梁航道自10月7日12时起实施交通管制
92cce9c9d32a4e41bed24b2275065b87.jpg?pubTime=1696664088519?x-oss-process=style/w640)
大风+降温近4℃!“小犬”对广州影响减弱,持续时间仍较长
ad4608f563e1416c91a80aa042c7271b.png?x-oss-process=style/w640)
受台风“小犬”影响,江门南部8日至9日风雨加大
763a5fd5b896465fbfcbea198762aac8.jpg?x-oss-process=style/w640)
澳门小、幼及特殊教育全日停课
0cbb042662554939ab7a247b138e0b59.jpg?pubTime=1696640398666?x-oss-process=style/w640)
视频|赶在停航前,江门上下川岛疏散旅客近3000人
受台风“小犬”影响,汕头火车站10月7日停运部分动车
42ed4ed768ef4aad857880b938cd0215.jpg?x-oss-process=style/w640)
一线直击 | 台风“小犬”重新升级,汕尾红海湾景区关闭,渔民渔船双上岸
4d660ecc7f754e258cf3b7f0624a4b01.jpg?x-oss-process=style/w640)
受台风“小犬”影响,汕头南澳大桥6日14时起实行封桥
N视频
视频现场直击|台风“小犬”逼近,江门山咀港疏散游客近千人离岛
df184e775cd246b5a5ef700af68db5bc.jpg?x-oss-process=style/w640)
今日14时南澳大桥交通管制,18时起东海岸新津大桥等交通管制
8730b5847e804aeba921eeb4a080f295.jpg?x-oss-process=style/w640)
台风“小犬”+冷空气,汕头密集降雨期今夜将至
9a6205d715364b179dbfadd5dd91f90c.jpg?x-oss-process=style/w640)
最新!台风“小犬”向珠江口海域移动,梅州南部将有中到大雨局部暴雨
54d31b09816642cf9105f1f5b0852e88.jpg?x-oss-process=style/w640)
注意台风影响!地铁部分线路延长收车|6日出行提醒
3905668293ea4c66a123df4b847a3472.jpg?x-oss-process=style/w640)
滚动 | 南沙升级至台风蓝色预警!广州风力还将增大
a7980e2eb74341caa6b5d7bf4e49094d.jpg?x-oss-process=style/w640)
台风“小犬”逼近,广东迅速进入临战状态
6e84477780db4fd39cbdeb0fe955691a.jpg?pubTime=1696551422000?x-oss-process=style/w640)
台风“小犬”掠过台湾,造成1死304伤
be4182c17ff9432fa46531a7d0af78c1.jpg?pubTime=1696518820427?x-oss-process=style/w640)
粤东铁路因台风明午后停运,多图看今晚潮汕站客运现场
N视频
深圳大鹏新区南澳吊船上岸,现场拉警戒线安装警示灯
汕头妈屿岛全部渔船回港避风,入岛车辆及游客有序疏散
视频|防范台风“小犬”,深圳南澳船舶回港避风
一分钟看深圳
视频渔船回港、滨海景区关停……台风“小犬”逼近,汕头从早从严防御台风
369193a11d514f6bb4d28fd62ba757c0.jpg?x-oss-process=style/w640)
台风“小犬”风速拉满,潮州海事局全力做好防御工作
58521ccffb0741c48e9440489b5e872d.jpg?x-oss-process=style/w640)
台风“小犬”逼近!汕尾市滨海旅游景区已全部关闭
c247e88b446747f1ab507dd74370c2ae.jpg?x-oss-process=style/w640)
自驾返程注意!6日起广州这些路段行车需防范横风
78ebd0d8bdb84a4e92bb80a42e4a9381.jpg?x-oss-process=style/w640)
台风预警已解除,东莞今日仍有持续性降雨
c93bc8bd5b704057b4d9ce2894ef1ed5.jpg?x-oss-process=style/w640)
强台风级!“小犬”登陆台湾,广东多个景区已关闭
d8a1ebec3ab4486bae0fcb3610c3b23a.jpg?pubTime=1696469043000?x-oss-process=style/w640)
船只回港、人员转移、景区关闭!潮州严阵以待防台风
7b4efed6aa6d48e5b6b6dbc001f9fc98.jpg?x-oss-process=style/w640)
防范台风“小犬” 深圳严阵以待
b200e4c0a619447fb44e524c4afdf550.png?x-oss-process=style/w640)
气象部门:白云区7至8日可能发布暴雨黄色预警信号
4b94a31c30114957808789edaae47dda.jpg?x-oss-process=style/w640)
滚动|惠州结束防风IV级应急响应
8d7dd241501948ceaef64ded8f5fac4e.jpg?x-oss-process=style/w640)
滚动|“小犬”减弱远离深圳,今日仍有降雨
dde4d38dbf28410e91ef9b8811654673.png?x-oss-process=style/w640)
大梅沙海滨公园5日18时起临时闭园
3ac7c9d106f4478b860d0070cc519497.jpeg?x-oss-process=style/w640)
深汕特别合作区台风白色预警生效中
9919a56dbd4e4445a8daa887d2b8df91.jpg?x-oss-process=style/w640)
滚动|中山台风预警及暴雨预警解除
e1fe5382292f4ceeb01945b97119a1c1.jpg?x-oss-process=style/w640)
强台风“小犬”或影响假期返程,河源气象最新提醒→
65fb3d5aa7c04414942173e547486f1a.jpg?x-oss-process=style/w640)
台风“小犬”化身空调外机,5日高温天气将持续
965fa7df5a30459a9896769fa8ff53fc.png?pubTime=1696425975969?x-oss-process=style/w640)
受台风影响,6日南沙客运港往返珠海海岛航线临时停航
7797c7ef4ac446ababaae103e3440a03.jpg?x-oss-process=style/w640)
“小犬”已进入24小时警戒线!接下来的深圳天气...
6efa66d662fc427994e4663db3af9820.png?x-oss-process=style/w640)
台风“小犬”逼近,10月7日肇庆开学上班受影响吗?
708b56e8e4d1408b92cec32564e2b8ef.jpg?x-oss-process=style/w640)
“小犬”登陆时间有变!从粤东返深的市民注意了
6a02e54cabf147caa1a388a7b39e7f63.jpg?x-oss-process=style/w640)
暴雨大风6日到!广州启动台风IV级应急响应
ee0530c8955a4552b09571444bf8630f.jpg?x-oss-process=style/w640)
滚动丨潮州解除海浪警报
1ac34c25e1124358b4642a7a1faba92f.jpg?x-oss-process=style/w640)
受台风“小犬”影响,深圳市天文台4日18时起临时关闭
024e5c065ab14b74bb0fba6118309937.jpg?x-oss-process=style/w640)
揭阳台风预警解除
fd67b7d9b67344c39ef5e70e1c053411.jpg?x-oss-process=style/w640)
注意!台风“小犬”在假期后段将给粤东、珠三角南部带来暴雨
b99150ca9bf240fd8a88ce3129dceaf0.jpg?x-oss-process=style/w640)
广州昨夜今晨暴雨如注!台风“小犬”将带来另一场强降水
e06706e42fd24ac4aaa98556b8a1b3d4.jpg?pubTime=1696207246272?x-oss-process=style/w640)
台风“小犬”生成,何时将影响广东?
47b8b724cda348829f50cf751a0f7252.jpg?pubTime=1696129796000?x-oss-process=style/w640)